梁溪即将新增3座停车场,就在这里...
2023-07-17 15:05:16 无锡市自然资源和规划局
庄前绿地地下公共停车场项目建设工程规划许可证(方案)批前公示
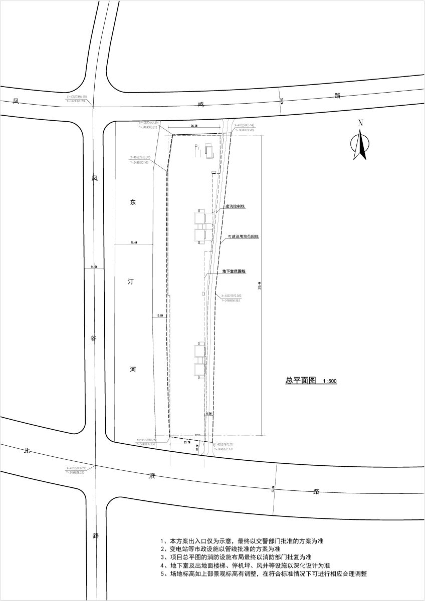
该项目位于梁溪区北滨路、凤谷路交叉口东北侧沿东汀河绿地公园的地下空间,总可建设用地面积约7646平方米,用地性质为社会停车场用地,建设单位为无锡市梁溪城市运营服务集团有限公司。项目地下建筑面积约13054平方米(详见附图)。

东风木业D地块东侧绿地地下停车场项目建设工程规划许可证(方案)批前公示
该项目位于梁溪区黄巷街道江海路与凤宾路交叉口西南侧,东风木业D地块东侧原绿地公园的地下空间,总可建设用地面积约10825.5平方米,用地性质为社会停车场用地,建设单位为无锡市梁溪城市运营服务集团有限公司。项目地下建筑面积约8435平方米(详见附图)。

江海路与凤宾路夹角游园地下停车场地块(无锡市中心城区智能化停车场改造提升和新建工程二期项目)建设工程规划许可证(方案)批前公示
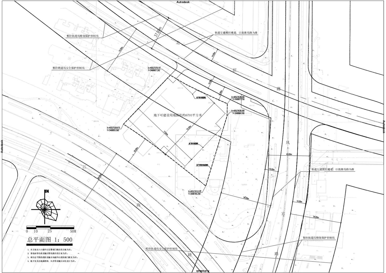
该项目位于梁溪区江海路与凤宾路交叉口西北侧地下空间,地下总可建设用地面积约6793平方米,用地性质为社会停车场用地,建设单位为无锡市梁溪城市运营服务集团有限公司。项目地下建筑面积约5214平方米(详见附图)。

